土地
10499 平方英尺
(975平方米)
无
2025年09月30日
已上市 242 天
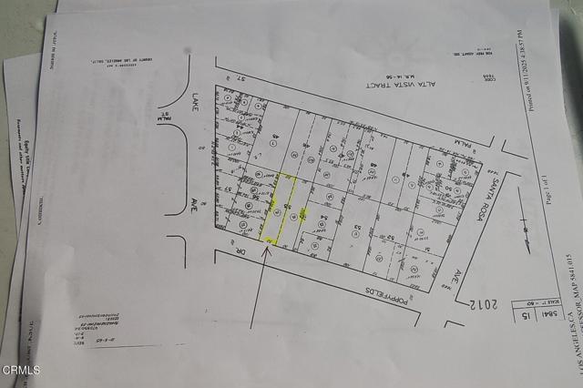
This lot is ideal for future development assessor map shows 50 x 209 nice deep 10,499 foot rectangular lot. located just west of Lake Ave.A savvy contractor after walking the site will notice development possibilities the gentle down slope at street frontage may offer tuck under garages, saving additional lot space to build more structures on. In addition utilizing setbacks may offer a wider house build. County records show what may have been a guest house ?Buyer to verify how many structures may be built on subject property under current code. From street level their are city light & mountain views. Great lot north of Altadena Dr.See attached plot maps adjacent to the blue easement line is aprox 15 foot paved road surface entry off Poppyfields this connects to a 30 ft easement at the south portion of subject property may allow Ingress & Egress separate entry to guest house /ADU at rear of deep lot. Buyer to verify.
中文描述选择基本情况, 帮您快速计算房贷
除了房屋基本信息以外,CCHP.COM还可以为您提供该房屋的学区资讯,周边生活资讯,历史成交记录,以及计算贷款每月还款额等功能。 建议您在CCHP.COM右上角点击注册,成功注册后您可以根据您的搜房标准,设置“同类型新房上市邮件即刻提醒“业务,及时获得您所关注房屋的第一手资讯。 这套房子(地址:740 E Poppyfields Dr Altadena, CA 91001)是否是您想要的?是否想要预约看房?如果需要,请联系我们,让我们专精该区域的地产经纪人帮助您轻松找到您心仪的房子。