土地
7417 平方英尺
(689平方米)
无
2025年09月17日
已上市 35 天
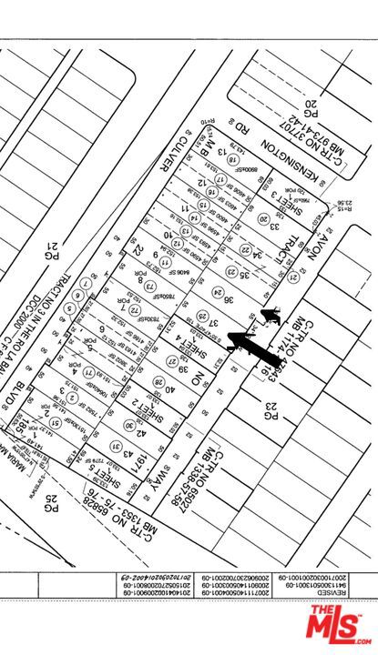
Exceptional Westside development opportunity with two adjacent R3-zoned (this is Lot #25 indicated on the plat in photos, City determination attached in Documents), extra-wide lots (each approx. 55' x 135'). Determination letters have been issued for both parcels. Lot next door is for sale located at 11816 Avon Way (also listed), enabling development of up to 12 single-family homes each planned for 3 bedrooms and 3.5 bathrooms. No affordable housing requirement per City. Combined lot size is approx. 14,850 SF. Ideal for market-rate or luxury development. Wide frontage allows for flexible and efficient site planning. Proven development model a similar project has already been successfully completed nearby, validating feasibility. Conveniently located near major transit, shopping, dining, and employment hubs. Contact listing agent for determination letters and further development details. (This is property to be sold together with 11810 next door also on the market).
中文描述选择基本情况, 帮您快速计算房贷
除了房屋基本信息以外,CCHP.COM还可以为您提供该房屋的学区资讯,周边生活资讯,历史成交记录,以及计算贷款每月还款额等功能。 建议您在CCHP.COM右上角点击注册,成功注册后您可以根据您的搜房标准,设置“同类型新房上市邮件即刻提醒“业务,及时获得您所关注房屋的第一手资讯。 这套房子(地址:11810 Avon Wy Los Angeles, CA 90066)是否是您想要的?是否想要预约看房?如果需要,请联系我们,让我们专精该区域的地产经纪人帮助您轻松找到您心仪的房子。